- Home
- Business
- Economic Development
- Local Incentives
- Tax Increment Financing Districts
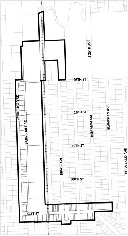
- 31st Street / Barnsdale TIF
The boundary of the 31st Street/Barnsdale Tax Increment Financing (TIF) District is generally defined to include 31st Street from Homestead Road to Blanchan Avenue and Homestead Road and Barnsdale Road from 31st Street to 26th Street. The area consists of 94 tax parcels and 67 buildings, totaling 163 PINs. Four parcels are comprised of Indiana Harbor Belt Railroad right-of-way. Of the approximately 56 acres of land in the TIF District, approximately 40 acres are improved and 5 acres are vacant. The remaining acreage is rights-of-way. Current uses in the 31st Street/Barnsdale TIF District include commercial, industrial, recreational, open space, and multi-family residential.
Monday - Friday
9:00 a.m. - 4:30 p.m.